三里塚耕作権裁判 土地特定の誤り追及 市東さんが陳述
三里塚耕作権裁判
土地特定の誤り追及
市東さんが陳述


12月6日、千葉地裁民事第2部(本田晃裁判長)で天神峰・市東孝雄さんの南台耕作地をめぐる耕作権裁判が開かれ、三里塚芝山連合空港反対同盟と顧問弁護団、支援の労働者・学生・市民70人が全力で闘った。
午前9時、開廷に先立ち千葉市中央公園で決起集会を行った。東峰の萩原富夫さんは「市東さんはNAA(成田空港会社)によって『不法耕作の男』という汚名を着せられ、15年にもわたり被告席に座らされている。許せない!」と怒りをたたきつけた。動労千葉の中村仁副委員長が連帯発言に立ち、反対同盟事務局の伊藤信晴さんは「中国侵略情勢の激化のもとで、成田の兵站基地化が狙われている。反戦のとりでとして三里塚が立とう」と呼びかけた。反対同盟を先頭に千葉地裁に向けてデモに出発した。
午前10時30分に開廷。陪席裁判官の交代に伴う更新手続きとして、まず市東さんが意見陳述を行った。
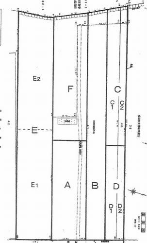
「私は1999年に亡くなった父・東市から南台農地の小作権を引き継ぎ、『関係土地図』(図参照)のA・B・C・Dの土地を耕してきました。NAAは不当にも2006年に南台のA・C・Dの土地を不法耕作と決めつけ、明け渡しを求めて裁判にかけてきました。08年にはBの土地を小作権解約を理由に明け渡しを求めてきました」
「成田空港は一日も早く廃港にすべきであり、空港が農業を破壊していることは絶対に許されません。機動隊の暴力と札束で、大切な農地を強奪してきた空港建設は完全に間違っていたのです。私は父の闘魂に学びNAAと闘う決意です。NAAは『不法耕作』と言いますが、C・Dの土地は父が地主・藤﨑さんの承諾を得て1972年ころから賃借し時効取得が成立しており、不法耕作ではありません。何より許しがたいのは、戦前から約100年近く耕作してきた市東家の耕作地であるAを『不法耕作』と言うことです」
「NAAはE1が当初のうちの小作地だと言いますが、これもでたらめな主張。うちではE1を一度も耕作したことがありません。私が小学生のころA・Bを父が耕していたことをはっきりと覚えています」
「私は自分の農地、農業に自信と誇りを持っています。裁判長は先入観を捨てて、NAAに関係書類をすべて出させ、NAA関連の証人を出廷させるよう強く求めます」
耕作地の位置特定問題に具体的に踏み込んだ市東さんの意見はNAA代理人を鋭く突き刺した。続いて弁護団が意見陳述で、やはり位置特定問題を中心にNAAを追及した。
NAAは、市東さんがNAA所有の土地を不法耕作していると決めつけて裁判を起こしながら、その位置特定が完全に間違っている。NAAの主張の根拠は、旧地主の藤﨑による南台農地の耕作状況についての手書きのずさんな地図(藤﨑メモ、1987年12月作成)だ。原本すらなく入手経過も不明なこのメモは「市東家の賃借地はBとE1だ」と図示しているが、実際にはE1は石橋家の小作地であり、決定的に誤っている。
このメモの内容で、「同意書」「境界確認書」と添付の地図が作られ本裁判に「証拠」として提出されているが、そこに記されている東市さんの署名と印影は偽造である。これらの矛盾と誤りに満ちた主張をあくまで押し通すためにNAAは憶測を並べ立て、「とにかくAは不法耕作地だ」と強弁しているのだ。
最後に弁護団は、空港公団による土地買収の交渉記録などについて「ない」と言い張るNAAの卑劣さを断罪し、一切の関連文書を提出させ、法理哲二(当時空港公団用地部用地課長代理)などの証人尋問を行うよう裁判所に強く求めた。
千葉県弁護士会館で開かれた報告集会で市東さんは「何も言わず書類も出さないというNAAのやり方を許さず、今後も勝利まで闘います」とあいさつ。顧問弁護団事務局長の葉山岳夫弁護士はNAAを追いつめている手応えを勝利感をもって語り、この力で強制執行を阻止しようと呼びかけた。最後に萩原さんが1月9日の現地デモ・団結旗開き、同19日の新やぐら控訴審を告知し、2022年の一層の奮闘を誓い合った。